十胜之丘葡萄酒庄 / 十胜葡萄园

ABOUT

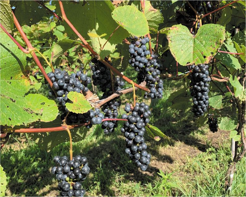
十胜丘葡萄酒庄(Tokachigaoka Winery)是一家以十胜葡萄园的葡萄精心酿造高品质葡萄酒的酒庄,并设有商店。十胜葡萄园成立于2020年,采用有机种植山崎葡萄和清舞葡萄等北海道葡萄品种。从葡萄种植到酿造,酒庄始终如一地酿造出充分发挥当地特色的葡萄酒。

十胜之丘葡萄酒庄 TOKACHIGAOKA WINERY

十胜之丘葡萄酒庄诞生于一个诚挚的愿望——希望充分利用北海道十胜地区的自然恩惠,为大家呈上高品质葡萄酒。从葡萄栽培、葡萄酒酿造到葡萄酒装瓶,每道工序都精益求精,力求为大家提供满意的佳酿。

在十胜丘葡萄酒厂,您可以参观毗邻葡萄园的酿酒设施。除了可以近距离观看酿酒过程外,这里还出售由邻近的十胜Pride(十胜品质事业合作社)开发的原创软冰淇淋和奶酪。酒厂设有葡萄酒试饮台,您可以一边品尝葡萄酒,一边享用奶酪小吃。欢迎随时光临。

营业时间:9:00-16:00
周二、周三休息(节假日照常营业)

十胜葡萄园 TOKACHI VINEYARD

在音更町十胜川温泉获取了用于酿酒的葡萄种植园,于2020年以“十胜葡萄园”之名正式启动。致力于基于对人与环境友好的农法,采用顺应自然、尊重自然的工艺进行酿造。酿造的葡萄酒在“十胜之丘葡萄酒庄”有售。

交通方式

ACCESS

十胜之丘葡萄酒庄
十胜葡萄园

邮编:080-0262北海道河东郡音更町十胜川温泉北14丁目4番10
电话:0155-67-1981 
传真:0155-67-1991
E-mail wine@tokachigaoka-w.jp
URL https://tokachigaoka-w.jp/zh-CN/

十胜葡萄园的葡萄田毗邻十胜之丘公园,可眺望十胜平原的壮丽景色。